Check if you need a heritage permit

If you plan to alter a designated heritage property or a property in a heritage conservation district, you may need a heritage permit.

Follow these steps to confirm if you need a permit.


On this page

  1. Find out if your property is protected
  2. Review the work you're planning
  3. MacGregor Albert Heritage Conservation District
  4. Check what other approvals you might need
  5. Apply for a heritage permit
  6. Find additional resources
  7. Contact us

1. Find out if your property is protected

Check the Municipal Heritage Register (PDF) to find out if your property is:

  • designated under the Ontario Heritage Act
  • in a heritage conservation district
  • listed as a non-designated property of cultural value

If you’re not sure, email heritage@waterloo.ca or call 519-747-8546.


2. Review the work you plan to do

You need a heritage permit for work that may change heritage features, such as:

  • demolishing or removing a building, porch or verandah
  • building additions, garages, driveways or other new structures
  • changing windows, doors, rooflines or chimneys
  • altering exterior details such as trim, brackets or finials
  • re-pointing, cleaning or painting masonry
  • replacing or covering wall materials on street-facing façades

Routine maintenance, like re-shingling a roof or doing HVAC upgrades, usually does not need a heritage permit. Contact us if you're not sure.


3. If your property is in the MacGregor Albert Heritage Conservation District (HCD)

Properties in the HCD need a permit for most exterior changes. The MacGregor Albert Heritage Conservation District Plan (PDF) explains the policies and guidelines that apply to this area.

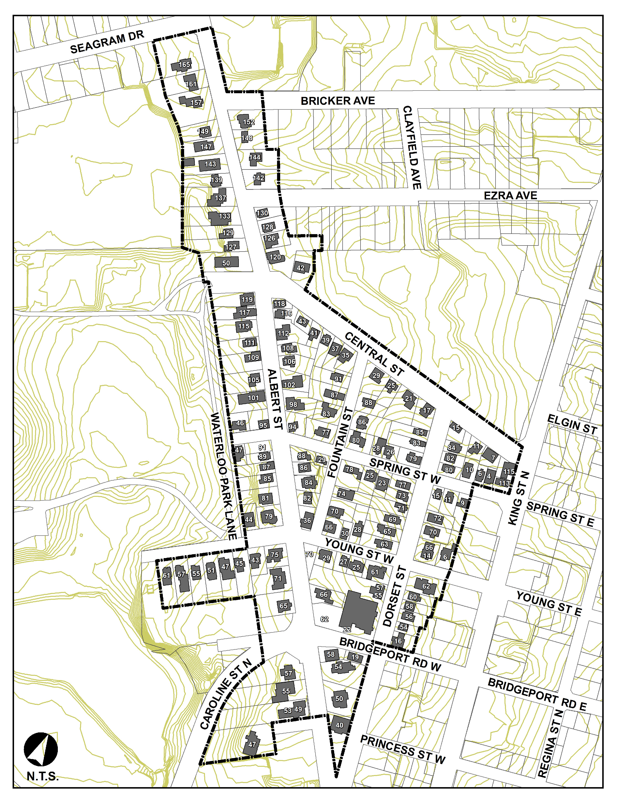
This map shows the boundaries of the MacGregor-Albert Heritage Conservation District. It outlines properties between Seagram Drive, Bricker Avenue, Ezra Avenue, King Street, and Caroline Street, including Albert Street and surrounding local streets.

A map of the McGregor-Albert heritage district area that contains over 100 heritage properties.
MacGregor Albert Heritage District Map

 


4. Check other approvals you might need

Depending on your project, you may also need a:

Heritage staff will help coordinate reviews if more than one approval is required.


5: Apply for a heritage permit

If your project needs a permit, follow our step-by-step guide to apply.


Additional resources

Property owners may find these guides helpful:


Contact us

Email heritage@waterloo.ca or call 519-747-8546 with any questions.