Studies

City staff conduct studies to produce research on important topics. Findings are presented to the public and council for consideration.

Valency Inc. was hired by the City of Waterloo to review call centre and automated call-in process operations in support of after hours customer service.

The study reviewed city operations and generated recommendations.

Supporting documents (PDF):

Brock Solutions was hired by the City of Waterloo to complete the ‘SCADA Modernization’ review.

The City Utilities Division’s SCADA (supervisory control and data acquisition) system provides 24/7 monitoring and alarming capability for the city’s wastewater pumping stations.

The study reviewed the city SCADA system and generated recommendations.

Supporting documents (PDF):

BMA Management Consulting Inc. (BMA) was engaged by the City of Waterloo to undertake a review and make recommendations with respect to building permit fees, fee structure, building stabilization reserve policies and to forecast revenues and expenditures over the next 10 years. This included benchmarking of all fees with 10 peer municipalities.

Supporting documents (PDF):

In December 2016, the City of Waterloo completed a environmental assessment (EA) study for the Columbia Street/Lexington Road corridor between Davenport Road and King Street North.

The study included extensive public engagement as required by the EA process. The final report recommended transportation planning solutions for the short and long term.

The short term planning solution was implemented in fall 2017. The Lexington Road and Davenport Road intersection is currently being studied to develop a layout that will best align with the recent changes. Other features included:

  • asphalt surface of roadway between Marsland Drive and Davenport Road
  • traffic turn lanes at Lexington Court and Dearborn Boulevard (east leg)
  • removal of a westbound traffic lane to make space for an active transportation route over the highway
  • a separated two-way cycling route on the north side of the road between Davenport Road and Holbeach Crescent

The long term planning solution will address increased traffic volumes expected from continual growth in the north-east of the city. The goal is to establish the long-term solution within the ten-year capital program. Anticipated features include:

  • wider road to accommodate on-street bicycle lanes and multi-use-trail
  • turn lanes at required intersections to reduce delay and improve safety
  • two through lanes in each direction on Columbia Street between King and Weber streets
  • turning restriction from Regina Street North to Columbia Street to right-in/right-out only movements (no left turns from Columbia to Regina)
  • two through lanes per direction plus a centre two-way left turn lane between the former Manulife west driveway and Marsland Drive
  • raised median between Marsland Drive and Dearborn Boulevard (East)
  • one westbound lane and two eastbound lanes between Davenport Road and Dearborn Boulevard (East)

Documents for this project have been archived. Contact website@waterloo.ca to request a copy.

In December 2013 council approved an environmental assessment (EA) study for widening and reconstructing Columbia Street West between Erbsville and Fischer-Hallman roads. View a map for more detail. The study included extensive public engagement as required by the EA process.

The project originally planned to have a bridge crossing Clair Creek, but changed to a culvert once bids came back over budget. Further public engagement followed. See addendum information below.

As of September 2018 surface asphalt has been placed, which completes the road portion of the work. Landscaping will be ongoing along the boulevard and within the wetland area.

Documents for this project have been archived. Contact website@waterloo.ca to request a copy.

 

The Conservation Drive and Beaver Creek Road Environmental Assessment (EA) study was completed in January 2016 by Stantec Consulting. It identified road and infrastructure upgrades to service an area proposed for growth known as Beaver Creek Meadows.

View the final EA here.

Background

The study area is approximately 400 hectares of undeveloped land in the north-west area of Waterloo. The land is primarily designated as low density residential and open space in the city’s Official Plan.

The Study Area for the EA and the Beaver Creek Meadows District Plan are technically different, so this statement could be confusing and misleading. Also, redundant since we discuss the study area below.

Roads within the study area are generally rural in nature, and existing land uses primarily have private water and sanitary servicing. Upgrades and issues for consideration to service future growth include:

  • roadway upgrades to Beaver Creek Road and Conservation Drive
  • two new sewage pumping stations and force mains for sanitary servicing
  • extension of existing collector gravity storm sewers and watermain networks
  • new storm sewers and stormwater management needs within the road right-of-ways

Public participation formed an important part of the EA study process to ensure that ongoing concerns of the public and the community living within the study area were identified, documented and assessed.

Current Phase of Study

Stantec Consulting is in the process of completing detailed design for the preferred Conservation Drive and Beaver Creek Road reconstruction and associated infrastructure works identified through the EA process.

Supporting documents (PDF):

Map

For appendix information please email Caroline Amyot at caroline.amyot@waterloo.ca

If you require these documents in a different format, contact 519-886-2310 x 78253 or caroline.amyot@waterloo.ca.

A Cultural Heritage Landscape (CHL) is an area of heritage significance that has been modified by human activities and is valued by a community. It involves groupings of heritage resources, such as buildings, structures, natural features or landforms that tell a story about where we come from and who we are.

A CHL study for Waterloo was finalized in 2019. Drawing on historical research, feedback from the community and guidance from the Region of Waterloo, the resulting inventory describes 27 significant landscapes.

It celebrates the city’s most special places and will help to support, enhance and conserve the places that people value. As a living document, the inventory will be reviewed and updated from time to time to reflect new information, emerging heritage areas and community values. 

Supporting documents (PDFs)

To view the inventory, download the full document or a specific chapter below:

  1. Introduction
  2. Residential Neighbourhoods
  3. Commercial, Industrial and Retail Landscapes
  4. Institutional Landscapes
  5. Cemeteries
  6. Parks, Natural Areas and Other Public and Private Open Spaces
  7. Agricultural Landscapes
  8. Transportation Corridors
  9. Sources

If you require these documents in a different format, contact 519-747-6068 or michelle.lee@waterloo.ca

A new block plan has been prepared for the Erbsville South area in the northwest corner of Waterloo, near the corner of Erbsville and Wideman roads. The block plan provides land use policies and mapping to help guide future development.

City council approved the block plan policies at a public meting on October 5, 2020 as part of Official Plan Amendment (OPA) 29. Currently OPA 29 is under review by the Region of Waterloo. Once the region completes their review and issues a decision on OPA 29, the policies of the block plan will become part of the City of Waterloo Official Plan. The block plan policies and maps can be found in the links below.

As background to the block plan, an environmental study was completed. It confirmed natural features and functions, identified areas to be protected and recommended development setbacks and mitigation measures. It was endorsed by council in June 2018.

Supporting documents (PDFs)
Draft Erbsville South Block Plan policies
Environmental study
Environmental study appendices

If you require documents in an alternate format or have questions about this project, contact the project manager at 519-747-8518 or ric.martins@waterloo.ca.

The floodplain mapping for part of Laurel Creek and Clair Creek is being updated. A floodplain is the area near a creek or river that may be subject to flooding. Floodplains are modelled and mapped by engineers using detailed calculations, including how much water comes off the landscape (hydrology) and how water moves across the landscape (hydraulics).View a map to see the study area.

It is being conducted in partnership with the Grand River Conservation Authority (GRCA) and Stantec. Floodplains are regulated by GRCA based on flood standards set by the province. For the area being updated in this project, the standard is the 1954 Hurricane Hazel storm event - a 1:500 to a 1:1000 year storm. This goes beyond the standards of the National Floodplain Mapping Framework, which recommends a 1:350 year storm as a minimum.

The floodplain was originally mapped in the 1980s and later designated as a special policy area where the province, city and GRCA have relaxed flood-proofing and technical requirements to accept a higher level of risk. Specific policies are in place that set out what development can happen.

Updating the floodplain mapping is the first phase of the project. The second phase will involve reviewing the special policy area boundary and policies. The results may impact what development can take place in the floodplain and may result in changes to the city's Official Plan and the GRCA's regulated area mapping of Ontario Regulation 150/06 made under the Conservation Authorities Act.

Supporting documents (PDFs)

If you have questions about this project or want to be notified of updates, contact the project manager at 519-741-8531 or floodplain@waterloo.ca.

Waterloo's Housing Need Assessment (2025) identifies the city's current and future housing needs, particularly as it relates to affordable housing. The analysis relies on current and forecasted population, demographic and household characteristics along with housing supply and pricing to evaluate the affordability of Waterloo’s current and anticipated housing supply.

View the Housing Needs Assessment (PDF)

If you require documents in an alternate format or have questions about this project, contact the project manager at 519-886-1550x78258 or douglas.stewart@waterloo.ca

In 2006, the City of Waterloo completed a neighbourhood traffic study for the Lake Louise Boulevard corridor between Conservation Drive and Westmount Road. The study included an extensive public engagement process consistent with similar projects at the time. The final report recommended traffic calming measures on Lake Louise Boulevard.

The planning solution included traffic circles, painted on-road bicycle lanes and adjustment to on-road parking. Budget constraints and changing priorities delayed implementing the approved planning solution.

In May 2014, a public information centre was held to advise that the plan would finally be implemented. Given concerns raised by some members of the community, bike lanes and adjustments to parking were implemented permanently, while the traffic circles were implemented on a trial basis. 

Traffic was monitored to see how effective temporary circles were. Following the trials, staff recommended implementing the original plan with some additional measures. The final plan was approved by council and implemented in 2017.

Traffic monitoring was conducted in 2018 to determine what impact the calming plan had on speeds. Information to date is provided in the table below.

Site 

Location

2015

2018

 

 

Speed

Average volume

Speed*

Average volume

1 Sandbanks/Inverhuron 50.5 km/h 2500 52.4 km/h 2365
2 Sandbanks/Coldstream 57.2 km/h 1660 52.2 km/h  968
3 Coldstream/Rockpoint 59.2 km/h 1517 52.5 km/h 1118 
4 Glacier/Sandbanks 57.0 km/h 1163 52.3 km/h 1274
5 Waterton/Pinery 65.7 km/h 886 51.8 km/h 807
6 Pinery/Kelso 54.8 km/h 838 52.1 km/h 755

This study aims to rehabilitate, preserve and manage the creek through bank stabilization, removing barriers to fish passage from Clair and Laurel Creek and incorporating a more natural channel form.

In early 2018 an environmental assessment (EA) was completed for the Maple Hill Creek area. The study included extensive public engagement as required by the EA process.

Documents for this project have been archived. Contact website@waterloo.ca to request a copy.

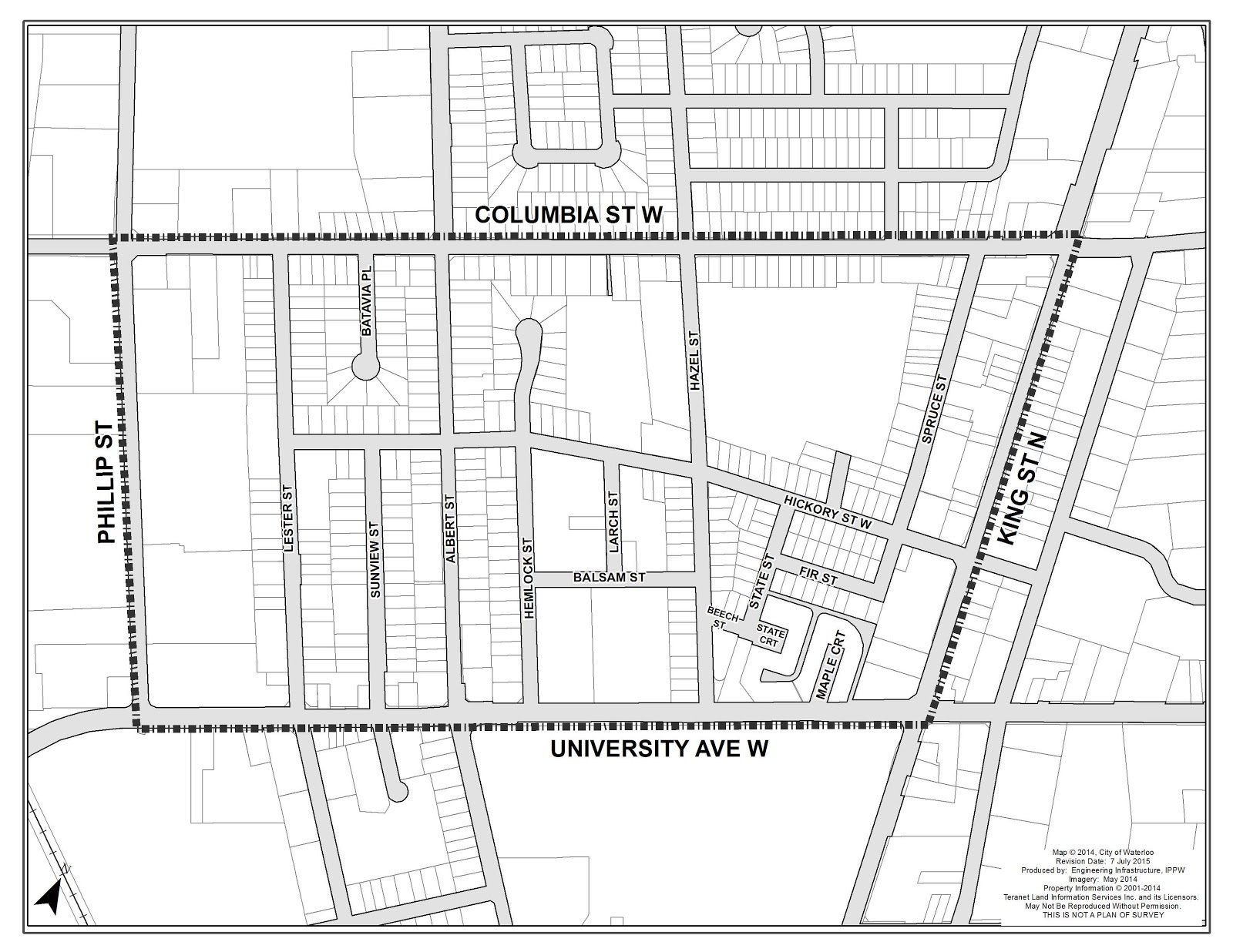
Northdale is located between Wilfrid Laurier University and the University of Waterloo, in an area bounded by University Avenue West, Phillip Street, Columbia Street West and King Street North.

View a map for more detail.

Over the past 25 years, the area has seen permanent residents replaced by a student population and rental housing.

The goal of the Northdale study is to revitalize the area into a vibrant and sustainable neighbourhood. The city's study was completed in 2012 and later received a grant to participate in the IBM Smarter Cities Challenge.

The city and IBM studies created the need for further work, including a streetscape master plan and environmental assessment. There is also a tax increment grant program that encourages green and sustainable development in the area.


Supporting documents (PDFs)

If you require documents in an alternate format or have questions about this project, contact the project manager at 519-886-1550 x 78248 or mike.lupsa@waterloo.ca.

This study reviewed our current engagement approach to determine how we can better communicate with residents so that our planning process is clear, easy to understand and timely. 

City council endorsed the final recommendations of the report (PDF) on October 4, 2021. The City will now work towards implementing the recommendations to improve engagement throughout the planning process.

This study began in 2016 and has two parts: one considering the addition to the Waterloo Memorial Recreation Complex (WMRC) and another considering a new older adult centre at WMRC to replace the Adult Recreation Centre (ARC) and Wing 404 Adult Centre.

The study has awarded consulting services to the Parkin Architects Limited. Following an initial round of public consultation the design concept includes three key components:

  • a new 'civic front'

  • a central fitness area in the repurposed Hauser Haus

  • a two-floor community pavilion (new older adult centre)

There will be further public consultation once the project moves to its next stage. Staff will return to council in 2019 for approval to move ahead with construction. This is estimated to take about 24 months, which would allow the expansion to open in the spring or summer of 2021.

Sale of ARC

The ARC was sold in June 2018 to Perimeter Development Corporation for $4.285 million. Terms of the sale include a relocation of the seniors services programs to the new older adults recreations centre. Proceeds of the sales will help fund the WMRC expansion. Wing 404 is not currently for sale. A disposition process for this property will take place at a later time.

Supporting documents (PDFs)

If you require documents in an alternate format or have questions about this project, contact the project manager at 519-886-2310 x 30225 or kevin.vanooteghem@waterloo.ca

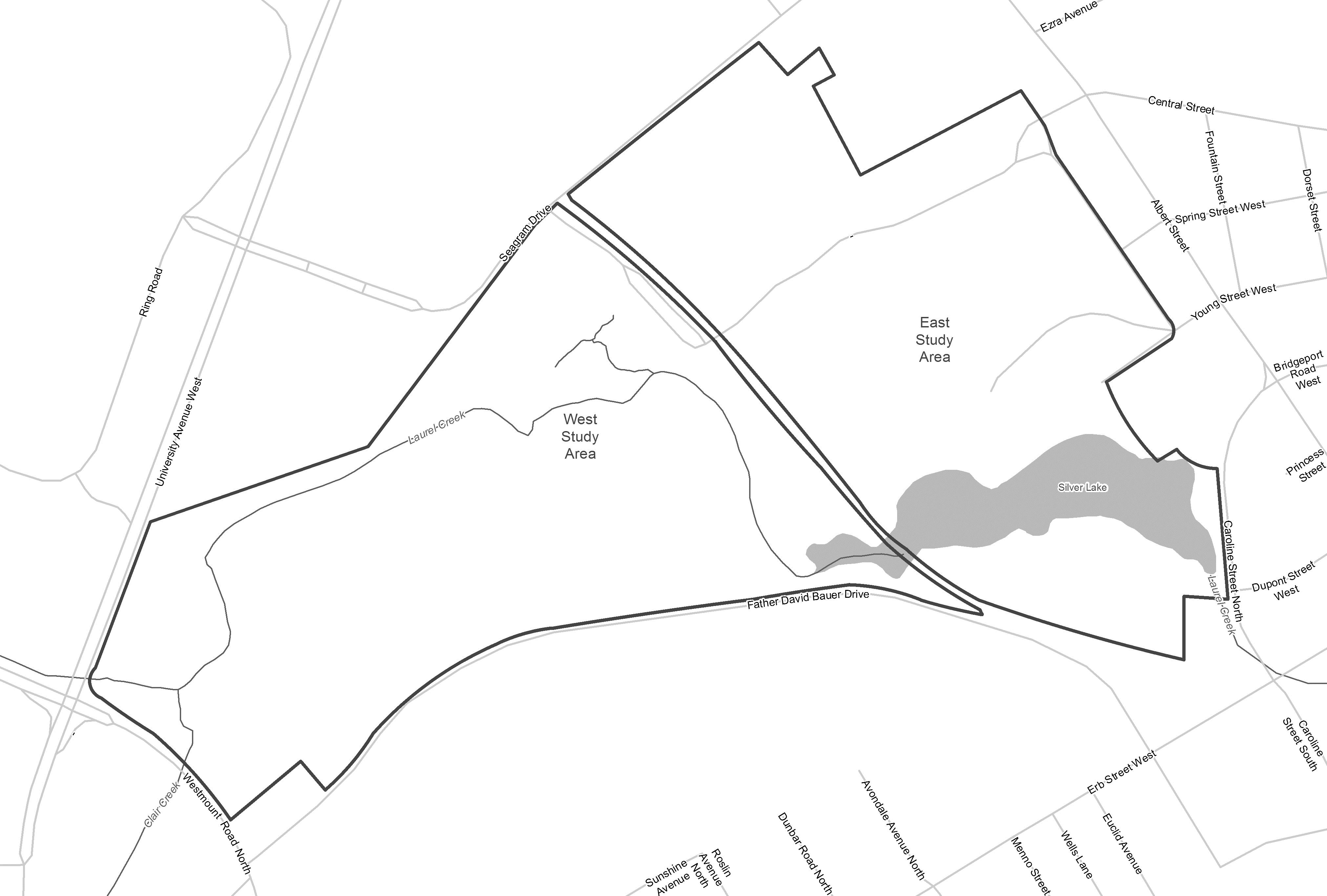
In 2018 a study was completed in Waterloo Park on Silver Lake (east study area) and Laurel Creek (west study area) to determine a preferred rehabilitation option. View a map for more detail.

It looked at flood control, water quality, maintenance, aquatic habitat, public input, safety, heritage, cultural and recreational uses.

The preferred option is to dredge and reconfigure the lake to improve circulation and water quality. This may include changing the shoreline and depth of the lake, applying sediment management and water quality improvements through a forebay. Laurel Creek may also see spot repairs.

Work on a detailed design and construction plan is now taking place with construction anticipated to take place in 2019 and 2020.

Construction

Laurel Creek and Silver Lake rehabilitation construction is underway. Park improvements and upgrades will begin later this year.

 

Supporting documents (PDFs)

If you require documents in an alternate format or have questions about this project, contact the project manager at 519-725-0511 or jessica.kellerman@waterloo.ca

The City of Waterloo received funding from the Ontario's Audit and Accountability Fund to review winter control operations.

The review had three key objectives:

  • identify service delivery costs savings and improved efficiencies

  • identify innovation opportunities to modernize service delivery

  • demonstrate how Lean Six Sigma methodologies could help drive improvement

The full report (PDF) was received by city council in November 2019.

The Streamline Development Approval Fund (SDAF) is an important part of the Province of Ontario's tool kit to support municipal partners, so that much needed housing can be built faster. It recognizes that the province and municipalities need to work together to increase the supply of housing and make housing more affordable for Ontarians.
The city advanced twelve different initiatives to streamline development applications including:

  • workforce review
  • hiring contract staff to address backlogs and advance process efficiencies
  • analyzing and investing in software solutions and online enhancements
  • clarifying requirements for complete applications, including standardized terms of reference for common studies
  • retaining professional consultants to identify opportunities to streamline development approvals in the areas of built form, parking, and community planning permit systems
  • purchasing equipment that creates processing efficiencies

Under the SDAF, the City of Waterloo has made significant strides forward to address application backlogs, modernize planning processes through investments in technology, improve our webpage and better leverage Engage Waterloo, enhance communication tools, and position the City well to update planning policies and regulations with the goal of streamlining development approvals while maintaining our urban design and community planning objectives.

The full report (PDF) was received by council on October 30, 2023.  

Studies undertaken with SDAF:(PDFs)

With thanks to the Province of Ontario.

The Trillium Valley Park Pond 48 Environmental Assessment (EA) study was completed in August 2022 by Wood Environment and Infrastructure. 

Background

Trillium Valley Park Pond 48 is a stormwater management pond located near the intersection of Columbia Street West and Gatestone Boulevard. The pond is in need of cleanout due to sediment accumulation in the pond. The pond has design and operational challenges and the cleanout of the pond provides an opportunity to correct those issues. As such, an EA study was completed to define the problems/opportunities, collect background information, develop alternative designs that address known issues, seek public feedback on the alternative designs and evaluate and select a preferred alternative design to move forward with. 

Current Phase of Study

The 30-day public review period for the study ended on October 8 2022. 

The city and its engineering consultant will review any comments received and begin to detailed design and approvals process. 

Visit EngageWaterloo for the latest project updates.

The Uptown Vision is a document to provide guidance to council and staff on topics related to economics, social, cultural, environmental, physical and educational situations. This will help strengthen our uptown core and provide a general vision for the coming years.

Read the Uptown Vision (PDF)

This report is an update to the parking utilization study completed in 2016 and outlines the surveys conducted to determine the existing level of utilization of parking spaces located on-street, in city-owned lots and in private/commercial lots within the Urban Growth Centre Boundary.

2022 Parking Utilization Study (PDF)

If you require documents in an alternate format or have questions about this project, contact the project manager at 519-886-2310 x 30340 or christine.tettman@waterloo.ca

Completed in 2014 following extensive public consultation, the purpose of this study was to preserve neighbourhood streets against potential traffic infiltration and safety issues due to growth, while recognizing the city’s strategic plans and approved policies on transportation.

Documents for this project have been archived. Contact website@waterloo.ca to request a copy.

A review of the water and sanitary sewer rate structure was completed in 2016. The study developed a long-term financial plan for the water and wastewater system and reviewed rate options.

Council approved the staff recommendation of maintaining the current rate structure and directed staff to submit the financial plan to the province in support of the city's drinking water licence.

Supporting documents (PDF)

This project, known as an 'integrated multi-modal transportation study' (IMTS) evaluates the effects of increased development on transportation in the west end of Waterloo.

The study provides recommendations on:

  • transportation network improvements to respond to growth

  • how to expand and connect active transportation and transit in the study area

Public engagement

The city hosted an open house in March 2015, and public information centres in April 2017 and June 2018.

Documents for this project have been archived. Contact website@waterloo.ca to request a copy.